Affitto capannone mq. 1500 - Lainate
-
- Lainate, Milano
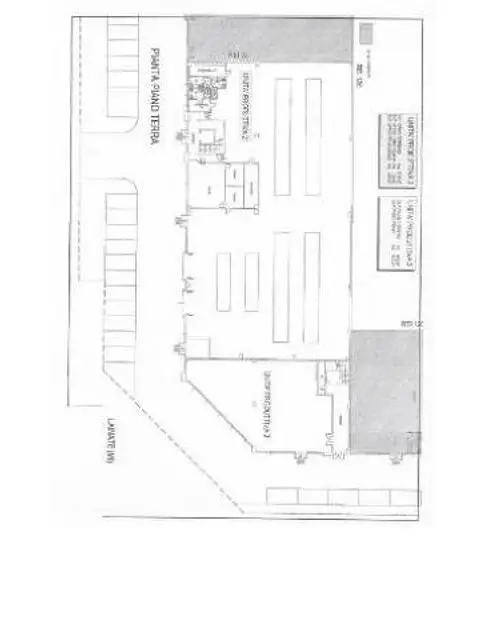
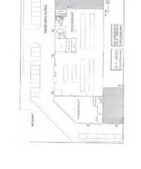
Capannone industriale di recente costruzione sito in Lainate composto da area produttiva/uffici al piano terra e uffici al piano primo di 1.300 metri quadri. Capannone riscaldato e illuminato con tutti gli impianti già esistenti. Uffici con aria condizionata. Potenza elettrica installata in cabina pari a 50 Kw. Area di manovra esterna per carico e scarico di 1.500 metri quadri. Libero da marzo 2017. Per visione capannone chiamare Massimo al numero 3930221787 CLASSE ENERGETICA: D (DL 192 19/08/05) IPE: 41.65 kw/mc - Gestionale OfficeCasa.it -
Contatta
Annunci correlati
-
Affitto Capannone in Via Cassanese
5.000 € Uffici e Locali commerciali Pioltello (Milano) 2022/07/04Località PIOLTELLO al confine con Segrate, adiacente Strada Provinciale n. 103 Cassanese, AFFITTASI ...
-
Affitto Capannone in Via Gian Lorenzo Bernini
3.666 € Uffici e Locali commerciali Lainate (Milano) 2022/07/04(CAPANNONE 1100 MQ LAINATE) Situato nella zona industriale di Lainate (uscita Origgio/ Lainate) auto...
-
Affitto Capannone in Via Isaac Newton
1.833 € Uffici e Locali commerciali Pero (Milano) 2022/07/04(CAPANNONE DI 250 MQ - CORTILE PRIVAT DI 250 MQ - RISCALDATO) Il capannone si trova nella zona indus...


