Capannone / Fondo in vendita a Medesano
-
- Medesano, Parma
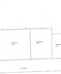
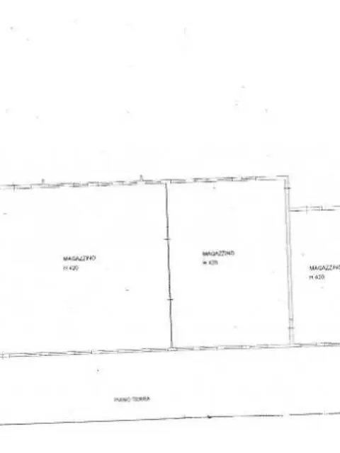
Felegara di Medesano, paese, in fabbricato artigianale/commerciale , fronte strada statale con ampio parcheggio/mostra , composto da 3 capannoni a schiera ,disponibile di testa mq 790 , mostra e negozio al p.t. , uffici al primo piano , area privata sul retro con accesso carraio.altezza interna circa 4,20 mt. da ristrutturare-Struttura e tetto buono stato. €130.000,00 € oltre i.v.a. di legge. Rif. usn316 Union Service srl Tel. 0521-627823 s@unionservicesrl.it
Contatta
Annunci correlati
-
Capannone / Fondo in vendita a Parma, Parma Frazioni - Delegazioni
700.000 € Uffici e Locali commerciali Parma (Parma) 2022/07/04Capannone libero e indipendente ubicato sul fronte strada della Pedemontana, nelle immediate vicinan...
-
Capannone / Fondo in affitto a Parma
2.400 € Uffici e Locali commerciali Parma (Parma) 2022/07/04ZONA DI ALTISSIMA VISIBILITA' CON POSSIBILITA' DI TOTEM SU VIA EMILIA, 600 MQ ALTEZZA SOTTOTRAVE 7M,...
-
Capannone / Fondo in affitto a Parma
2.500 € Uffici e Locali commerciali Parma (Parma) 2022/07/04ZONA CROCETTA, 750 MQ, 7/8 M DI ALTEZZA SOTTOTRAVE, AREA CORTILIZIA DI PERTINENZA, RICHIESTA ECONOMI...


