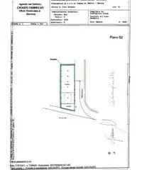
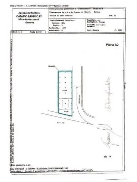
Vendita capannone mq. 450 - Zona Molassana
395.000 €
-
- Genova, Genova
PALLAVICINI VENDE CAPANNONE salita di PINO SOTTANO, 450MQ IN CONDIZIONI PERFETTE, CON ALTEZZE INTERNE mt.3.50 E mt.4.00 PIU' TTRE POSTI AUTO ESTERNI. PREZZO SU RICHIESTA CLASSE ENERGETICA: Non soggetto a certificazione - Gestionale OfficeCasa.it -
Contatta
Nome: Agenzia
395.000 €
Invia messaggioSolo per utenti registrati Inserito il 2022/07/04
Aggiungi un commento pubblico...
Annunci correlati
-
Vendita Capannone in via marconi
290.000 € Uffici e Locali commerciali Busalla (Genova) 2022/07/04Rif: busalla - Busalla Via Marconi, in complesso industriale con cancello privato vendiamo capannone...
-
Vendita Capannone in strada provinciale per novano
1.100.000 € Uffici e Locali commerciali Casarza Ligure (Genova) 2022/07/04Rif: 4219 - Rif.4219 - Casarza Ligure - Capannone Industriale - Artigianale - Commerciale - Comodo a...
-
Rif: aff75 - SAMPIERDARENA - VIA GIOVANNETTI
500 € Uffici e Locali commerciali Genova (Genova) 2022/07/04SAMPIERDARENA - VIA GIOVANNETTI Magazzino ordinato di 75 mq con servizi, utilizzabile anche come lab...


